Service Guide

Get Ants Extermination Service

Local contractors specializing in ant extermination help property owners eliminate ant infestations and protect homes or businesses from ongoing pest problems.

Ants can become a persistent nuisance for property owners, especially when they invade homes or commercial spaces. If you're noticing signs of an ant problem, exploring professional extermination services can provide effective solutions to restore comfort and prevent further issues. This is a common concern in many local areas, making it practical to compare options among experienced service providers who understand the specific needs of your property.

By considering local contractors specializing in ant extermination, property owners can find tailored approaches to managing these pests. Whether dealing with a minor infestation or a larger challenge, connecting with qualified service providers can help develop a plan suited to your property's requirements. Keep reading to learn more about how trusted local experts can assist in addressing ant problems efficiently and effectively.

Get Ants Extermination Service Quotes

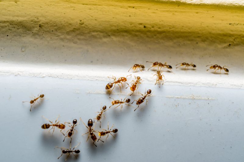
  • Ants Extermination - when ants have invaded a home or business and require professional removal.
  • Ants Prevention - to stop ant infestations before they become a major problem.
  • Ants Inspection - when identifying the source and extent of an ant infestation.
  • Ants Control - to manage ongoing ant issues and prevent future outbreaks.
  • Ants Treatment - for targeted solutions to eliminate ants from indoor or outdoor spaces.
Ants Extermination Service
Ants Extermination Service
Ants Extermination Service

Ants extermination services involve professional treatments designed to eliminate ant colonies and prevent future invasions. These services typically include thorough inspections to identify the source of the ant problem, followed by targeted applications of pest control solutions. The goal is to remove existing ants from the property and address the pathways they use to enter, ensuring a comprehensive approach to pest management. Many service providers also offer advice on reducing attractants and sealing entry points to help maintain a pest-free environment.

Ant infestations can cause a variety of problems for homeowners. Besides the nuisance of constant crawling and visible trails, ants can contaminate food supplies and damage household items. In some cases, certain species may pose health risks or trigger allergic reactions. Ants often establish colonies in hidden areas such as wall voids, under floors, or around foundations, making the problem difficult to resolve without professional help. Service providers use specialized methods to locate and eradicate colonies deep within the property.

The types of properties that typically require ants extermination services include single-family homes, apartment complexes, condos, and townhouses. Any residential property where ants are present or suspected may benefit from professional treatment. Commercial properties, such as restaurants or food storage facilities, may also need pest control services to maintain hygiene standards and prevent infestations. These services are suitable for properties experiencing ongoing ant issues or those seeking proactive measures to avoid future problems.

Homeowners often turn to ants extermination services when noticing persistent ant trails, unexplained ant activity indoors, or signs of large colonies nearby. If ants are invading kitchens, bathrooms, or other living spaces, professional treatment can provide effective relief. Additionally, properties with previous pest issues or those located in areas prone to ant activity are good candidates for regular pest management plans. Contacting local contractors can help determine the most appropriate solutions to keep ant problems under control.

The overview below groups typical Ants Extermination Service projects into broad ranges so you can see how smaller, mid-sized, and larger jobs often compare in your area.

In many markets, a large share of routine jobs stays in the lower and middle ranges, while only a smaller percentage of projects moves into the highest bands when the work is more complex or site conditions are harder than average.

Small Ant Infestations - Typically, local contractors charge between $250 and $600 for treating small ant problems in homes or yards. Many routine jobs fall within this middle range, with fewer projects reaching the higher end of the spectrum for more extensive treatments.

Moderate Infestations - For larger or more persistent ant colonies, costs generally range from $600 to $1,200. These projects often involve multiple treatments or targeted baiting to effectively eliminate the problem.

Severe or Persistent Issues - Extensive ant infestations, especially in commercial properties or large outdoor areas, can cost between $1,200 and $3,000. Such projects may require comprehensive treatments and ongoing monitoring, which are less common but necessary in complex cases.

Full Property Extermination - Complete eradication of ants across an entire property can range from $3,000 to $5,000 or more. Larger, more complex projects are less frequent but necessary for severe or widespread infestations requiring extensive treatment plans.

Actual totals will depend on details like access to the work area, the scope of the project, and the materials selected, so use these as general starting points rather than exact figures.

Get a Quote

Pest Control for Cockroaches - professionals use similar techniques and tools to identify and eliminate pests, including ants, in residential and commercial settings.

Termite Inspection and Treatment - involves planning and executing pest management strategies that require knowledge of pest behavior and treatment methods akin to ant extermination.

Rodent Removal Services - require expertise in pest identification, trapping, and exclusion methods comparable to those used in ant control projects.

Bed Bug Extermination - involves targeted treatment plans and pest management skills that align with the strategies used for ant eradication.

Spider Pest Control - requires similar planning and application of pest control tools to safely and effectively reduce spider populations, often alongside ant treatments.

Wildlife Removal Services - involve assessing pest entry points and implementing exclusion techniques, paralleling the planning process in ant extermination projects.

Ants Extermination Service

When evaluating service providers for ant extermination, it’s important to consider their experience with similar projects. Homeowners should look for local contractors who have a proven track record in managing ant control for properties comparable to their own. This experience can indicate familiarity with common challenges and effective strategies, helping to ensure the chosen professional understands how to address the specific ant issues present in the home environment.

Clear, written expectations are essential to a successful working relationship. Homeowners should seek out providers who can offer detailed descriptions of the services they will perform, including the methods used and the scope of work involved. Having this information in writing helps to prevent misunderstandings and ensures that both parties are aligned on what will be done, leading to a smoother process and more predictable results.

Reputable references and good communication are key factors when comparing local service providers. Asking for references from previous clients can provide insight into the quality of work and professionalism of the contractor. Additionally, choosing a provider who communicates clearly and promptly can make it easier to ask questions, receive updates, and feel confident throughout the process. It’s important to remember that these service providers are the ones performing the work, while the site helps connect homeowners to trusted local options.

Get an Ants Extermination Service Quote

Property owners use Ants Extermination Service services for practical projects around their homes and businesses. This guide focuses on everyday jobs and straightforward project options.

Ants Extermination Service
Ants Extermination Service

Ants Extermination Services are often needed when property owners notice signs of an ant infestation, such as visible trails, nests, or unexpected ant activity inside or around their homes. Common situations include dealing with ants invading kitchens, pantry areas, or outdoor spaces where food and water sources attract them. Local contractors experienced in ant control can help address these issues efficiently, preventing minor problems from turning into larger infestations that can cause damage or discomfort.

Residents and property owners may seek ant extermination services to protect their homes and maintain a clean, pest-free environment. Whether it's a sudden invasion or ongoing ant presence, professional service providers in the area can assess the situation and implement targeted treatments. These local contractors are equipped to handle a variety of project situations, from spot treatments to comprehensive ant management plans, ensuring the property remains protected from future ant activity.

Get an Ants Extermination Service Quote

How do local contractors identify ant infestations? They perform thorough inspections to locate ant trails, nests, and entry points around the property.

What methods do service providers use to eliminate ants? They typically use targeted treatments such as baiting, dusting, or residual sprays to effectively control ant populations.

Are ant extermination services safe for pets and children? Many local contractors follow safety guidelines to minimize risks, but it’s best to discuss specific concerns when contacting providers.

Can ant extermination services prevent future infestations? Yes, many service providers offer advice and treatments to help reduce the likelihood of ants returning.

What types of ants can local pros handle? They are equipped to treat common species like odorous house ants, carpenter ants, and pavement ants.

Ants Prevention Tips - Property owners can learn how to reduce attractants around their homes to discourage ant invasions.

Inspection Services - Homeowners can schedule inspections to identify ant entry points and nesting areas early.

Extermination Solutions - Local contractors can provide targeted treatments to eliminate existing ant colonies effectively.

Ongoing Pest Management - Property owners can set up regular maintenance plans to keep ants from returning over time.

Ants Extermination Service

If you are thinking about Ants Extermination Service for a property, this guide is meant to help you understand the work, the typical project types, and how different options might fit your plans.

When you are ready, you can use the quote form on this page to share a few details about your project. From there, local pros can review the basics and respond with options that match what you have in mind.

Get a Quote

Ants Extermination Quotes

Our Trusted Partners
Protector Pest Solutions
Benzel Pest Control
Mite T Tech